Von Airlie Beach aus steuerten wir ein weiteres Highlight unserer Australien-Reise an: die Whitsunday Islands. Um alle 74 Inseln besuchen zu können, reichte die Zeit natürlich bei Weitem nicht, aber zwei habe ich zumindest angeschnuppert.
Nach einer stürmischen Regen-Sonne-Wolken-Wind-Anreise …
… erreichten wir den weltberühmten Whiteheaven Beach und was soll ich sagen, er macht seinem Namen alle Ehre *schmelz* Damit ich ihn aber bei meinem nächsten Besuch (träumen darf man ja *g*) nicht wieder mit hundert anderen Touristen teilen muss, würde ich dann ein Segelschiff kapern ;-)
Lohnenswert ist die kleine Wanderung auf den Gipfel des Hügels (‚Solway Lookout‘) – von dort hat man eine traumhafte Aussicht und entdeckt so manch interessante Pflanze und auch ein paar tierische Bewohner.
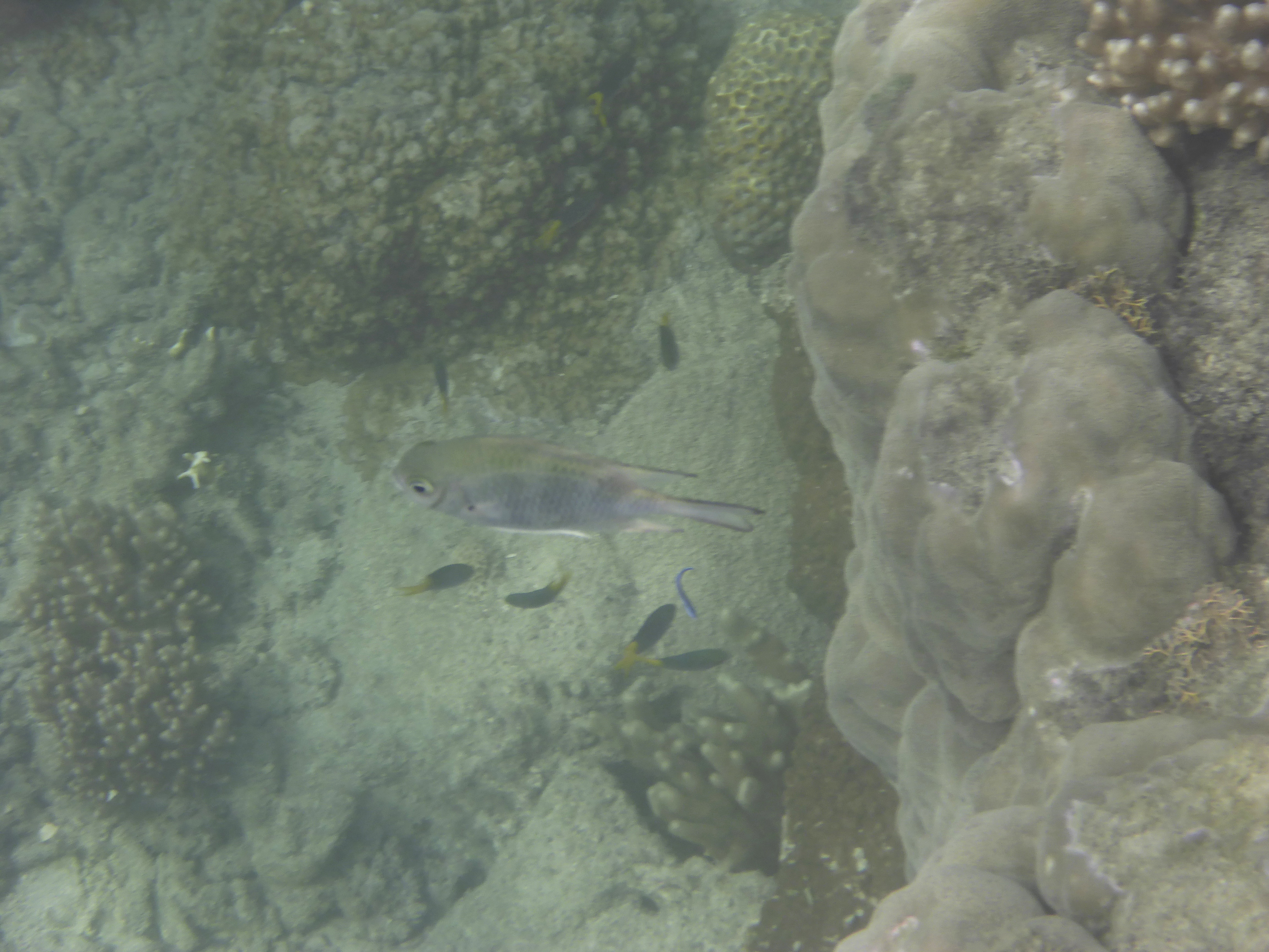
Anschließend ging es weiter zur zu den Langford Reefs … aufgrund der Quallengefahr in einen Neoprenanzug gequetscht sowie mit Schnorchel, Taucherbrille, Flossen und Unterwasserkamera bewaffnet tauchte ich unter und …. konnte gar nicht mehr genug bekommen. Bunte Korallen und viele Fische – so stellte ich mir einen Schnorchelausflug vor :-) Ich kostete dieses Aquarium-Feeling voll und ganz aus und fuhr erst mit dem letzten Schlauchboot zurück zum Schiff. Zwar gab es am Buffet nichts mehr zu holen, aber egal .. ich war noch ganz beseelt von meinen Schnorchelerlebnissen, sodass das Magenknurren halb so schlimm war.
Auf der Rückfahrt nach Airlie Beach begleitete uns strahlender Sonnenschein und ging dieser Bilderbuchtag blumig zu Ende.
Die Tour buchten wir im Übrigen bei Reef Cruises – gute Organisation, nettes Team. Auch hier gilt: frühzeitig buchen – selbst ein paar Tage vorher waren nur mehr Restplätze verfügbar und die meisten Anbieter und Touren überhaupt schon komplett ausgebucht.
Nachdem es noch weitere 72 Inseln zu erkunden gibt, muss ich die Whitsunday Islands wohl wieder einmal besuchen ;-) Habt ihr einen Inseltipp für mich?











































Hinterlasse einen Kommentar